Ingatlan360 logo
  • Magánszemélyeknek
  • Közvetítőknek
  • Hirdetésfeladás
  • Árak és hirdetési lehetőségek
  • Mennyit ér az ingatlanom?
  • Ingatlan statisztikák

Eladó telek Gárdony

Gárdony képe
2
Gárdony 2. képe
Gárdony 3. képe2
6,2 Mrd Ft
40 028 Ft / m²
153983m2
Telekterület
Szobák száma
nincs megadva
Építés éve
nincs megadva
Ingatlan állapota
nincs megadva
Emelet
Földszint
Parkolás
nincs megadva
Légkondicionáló
Nincs
Közös költség
nincs megadva
Fűtés
nincs megadva
Fal építési anyaga
nincs megadva
Lift
Nincs
Az ingatlanról:
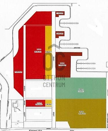
A Velencei tó déli partján kínálunk eladásra egy 23 hektáros vízparti fejlesztési területet Összes telekterület: 153 983 m2 Összes beépíthető terület földszinten: 54 519 m2 Összes beépíthető terület föld felett:189 084 m2 A telekcsoport 4 különböző övezeti besorolás alá esik az alábbiak szerint: 57 313 m2: Vt 4 2 7 5 5 szabadon álló maximális beépíthetőség 40 minimum zöldfelület 30 maximális építménymagasság 7 méter 11 152 m2: Vt 4 2 7 5 7 szabadon álló maximális beépíthetőség 40 minimum zöldfelület 30 maximális építménymagasság 9 5 méter 14 793 m2 Vt 4 2 7 5 4 szabadon álló maximális beépíthetőség 40 minimum zöldfelület 30 maximális építménymagasság 6 méter 70 725 m2 Vt 4 2 7 4 11 szabadon álló maximális beépíthetőség 30 minimum zöldfelület 55 maximális építménymagasság 14 méter Az eladó terület egy komplex városfejlesztési projekt megvalósítására alkalmas egy részén célszerű lenne nagy szobaszámú wellness hotel fejlesztése A terület közepén végigfutó gerincút már ki van szabályozva a területen saját kikötő létesítése is lehetséges Az eladási ár nettó ár további áfa terheli

Töltsd fel ingatlanhirdetésed ingyenesen!

Ingyenes hirdetésfeladás
Havi több mint egymillió ingatlankereső
Egyszerű és gyors hirdetésfeladás
Hirdetésfeladás
eladó
Leitner TamásIngatlanreferens
+36 70...
iroda logo
Székesfehérvár - VárkörútIroda további hirdetései

Töltsd fel ingatlanhirdetésed ingyenesen!

Ingyenes hirdetésfeladás
Havi több mint egymillió ingatlankereső
Egyszerű és gyors hirdetésfeladás
Hirdetésfeladás
Bank360Bank360
Személyi kölcsön
Lakáshitel
Bankszámla
Utasbiztosítás
1 000 000 Ft50 000 000 Ft
6 hónap50 hónap