Ingatlan360 logo
  • Magánszemélyeknek
  • Közvetítőknek
  • Hirdetésfeladás
  • Árak és hirdetési lehetőségek
  • Mennyit ér az ingatlanom?
  • Ingatlan statisztikák

Eladó telek Gyula

Gyula képe
5
Gyula 2. képe
Gyula 3. képe5
9,9 M Ft
15 665 Ft / m²
632m2
Telekterület
Szobák száma
nincs megadva
Építés éve
nincs megadva
Ingatlan állapota
nincs megadva
Emelet
nincs megadva
Parkolás
nincs megadva
Légkondicionáló
Nincs
Közös költség
nincs megadva
Fűtés
nincs megadva
Fal építési anyaga
nincs megadva
Lift
Nincs
Az ingatlanról:
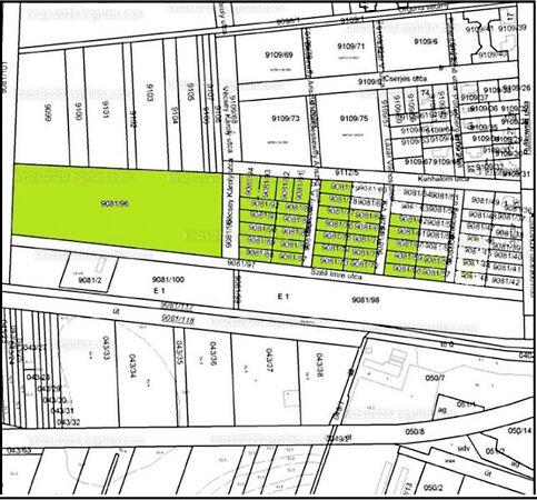
Gyula (Békés megye), Paradicsomi városrészen, Építési telkek eladók. A 44-eselsőrendű főútvonal mellett található terület. Helyi építési szabályzat szerinti kertvárosi lakóterület. A telek vízórával ellátott. Gáz és villany a telekhatáron. A lakóövezeti területek 632 - 648 m2 nagyságúak. Eladó telkek hrsz: 9081/56, 9081/57, 9081/58, 9081/59, 9081/60, 9081/61, 9081/62, 9081/68, 9081/69, 9081/72.
Irányár: 9,9 M Frt + áfa.

Töltsd fel ingatlanhirdetésed ingyenesen!

Ingyenes hirdetésfeladás
Havi több mint egymillió ingatlankereső
Egyszerű és gyors hirdetésfeladás
Hirdetésfeladás
eladó
Lengyel GézaIngatlanreferens
+36 30...

Töltsd fel ingatlanhirdetésed ingyenesen!

Ingyenes hirdetésfeladás
Havi több mint egymillió ingatlankereső
Egyszerű és gyors hirdetésfeladás
Hirdetésfeladás
Bank360Bank360
Személyi kölcsön
Lakáshitel
Bankszámla
Utasbiztosítás
1 000 000 Ft50 000 000 Ft
6 hónap50 hónap