Ingatlan360 logo
  • Magánszemélyeknek
  • Közvetítőknek
  • Hirdetésfeladás
  • Árak és hirdetési lehetőségek
  • Mennyit ér az ingatlanom?
  • Ingatlan statisztikák

Eladó telek Öreghegy, Isaszeg

Öreghegy, Isaszeg képe
9
Öreghegy, Isaszeg 2. képe
Öreghegy, Isaszeg 3. képe9
15 M Ft
Ár
3062m2
Alapterület
Szobák száma
nincs megadva
Építés éve
nincs megadva
Ingatlan állapota
nincs megadva
Emelet
nincs megadva
Parkolás
nincs megadva
Légkondicionáló
Nincs
Közös költség
nincs megadva
Fűtés
nincs megadva
Fal építési anyaga
nincs megadva
Lift
Nincs
Az ingatlanról:
CSAK NÁLUNK!

HORGÁSZOK ---BEFEKTETŐK----FIGYELEM!
Saját HALAS TAVA lehet, ELÉRHETŐ közelségben és elérhető ÁRON!

Ha hobbi teleket szeretne, a Rákos -patak mellett, a VADREGÉNYES terület remek kikapcsolódás.

Ha vállalkozásban gondolkodik, --------akár NYÁRI TÁBOROZTATÁS, akár -------VADASPARK, akár --------KALAN PARK,------ stb... számtalan lehetőség várja! Teremtse meg saját birodalmát.

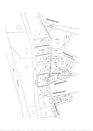
A teljes terület nagyság 18.376 m² , amely 6 db önálló helyrajzi számmal ellátott telekre van osztva. Egyben és külön - külön is ELADÓ!

Az értékesíteni kívánt terület Isaszeg, Öreghegy városrészének elején, eladó egy 3062 m² alapterületű, Tk, azaz TERMÉSZETKÖZELI TERÜLET, övezeti besorolású telek.

A terület 2380 m² rét és 682 m² fásított területet tartalmaz.
6-os művelési osztályba tartozik, aranykorona értéke 3,45.

Az utcában víz és villany közművek találhatók.

Megközelíteni murvás, kavicsos úton lehet.

A környéken, nyaralók, és állandó lakhatású ingatlanok vannak.

Ugyan a telekre építeni nem lehet, de egy úszóház akár alternatív megoldás lehet.

TERMÉSZETKÖZELI TERÜLET,

A Tk jelű természetközeli területen a következő előírásokat kell betartani:

- 53/A.§(1) Az övezetbe nádas, lápos, vízjárta területek tartoznak. Az övezetbe épületek nem helyezhetők el.
- (2) Az övezet ingatlanai művelési águknak megfelelően fenntartandók.
- (3) Az övezetbe sorolt, de kivett művelési ágú földútként és egyúttal közterületként nyilvántartott területekre a HÉSZ KÖu jelű övezetek előírásai vonatkoznak.
- (4) Az övezetben minden tevékenység kezelési terv alapján végezhető.

KÖZLEKEDÉSI ÉS KÖZMŰ ÖVEZETEK

A KÖu jelű közlekedési övezet (közúti közlekedési területek)

- 42. § (1) Az övezetbe tartoznak a meglévő és tervezett közutak a hozzájuk tartozó közlekedésüzemi létesítmények területével és tartozékaival együtt.
- (2) A közlekedési létesítmények szabályozási szélességét a HÉSZ 7. § (4) bekezdésével összhangban SZT szerint kell kialakítani.
- (3) Övezeti paraméterek:
- Beépítési mód: szabadon álló.
- Beépítettség terepszint felett 5%.
- Építmény magasság 5 m.
- (4) Az övezetben 500 m2-nél nagyobb bruttó alapterületű építmény csak jóváhagyott SZT alapján helyezhető el.
- (5) A közutak építési (szabályozási) szélességén belül a közlekedési létesítmények, a közművek létesítményei és berendezései, környezetvédelmi létesítmények, utca bútorok helyezhetők el, illetve utca fásítás (növényzet) telepíthető.
- (6) Az övezetben a melléképítmények közül közmű-becsatlakozási műtárgy, közműpótló műtárgy, hulladéktartály-tároló (legfeljebb 2,0 m-es belmagassággal), kirakatszekrény (legfeljebb 0,40 m-es mélységgel), kerti építmény (hinta, csúszda, homokozó, szökőkút, pihenés és játék céljára szolgáló műtárgy, a terepszintnél 1 m-nél nem magasabbra emelkedő lefedés nélküli terasz), kerti szabadlépcső (tereplépcső) és lejtő, szabadon álló és legfeljebb 6,0 m magas szélkerék, antenna oszlop, zászlótartó oszlop helyezhetők el.

AZ ÖVEZETI BESOROLÁSA miatt, a törvény által előírt, KIFÜGGESZTÉSI KÖTELEZETTSÉG mellett lehet megvásárolni!

Ha valaki csak a telek felét, azaz 50%-át szeretné megvásárolni, ÜGYVÉDI HASZNÁLATI megosztással lehetséges.
Az ár abban az esetben 50% +20% felár = 9.000.000 Ft

Eladó továbbá, a 34, 32, 31, 30, és 29 számú telkek is. Egyben 90.000.000 Ft

----------Az ingatlan PER -TEHER – és IGÉNY mentes!----------

Ha a hirdetésem felkeltette az érdeklődését, várom a HÍVÁSÁT.

A GDN HitelCentrum, KÖTELEZETTSÉG MENTESEN és DÍJMENTESEN, versenyezteti Önért a bankok hitelajánlatait. Ismerje meg a vissza nem térítendő állami támogatásokat!

• babaváró,
• CSOK+
• hitel,
• megtakarítás,
• és EGYÉB BANKI tranzakcióban segítségére lehetünk!

• Igény esetén, ÜGYVÉDI segítséget nyújtunk, MEGFIZETHETŐ áron!

Ha az ingatlannal kapcsolatban bővebb felvilágosításra lenne szüksége, hívjon bizalommal, állok rendelkezésére!

F.M. ...TOVÁBBI, TÖBBEZRES INGATLAN KÍNÁLAT: www.gdn-ingatlan.hu - GDN azonosító: 371265

Töltsd fel ingatlanhirdetésed ingyenesen!

Ingyenes hirdetésfeladás
Havi több mint egymillió ingatlankereső
Egyszerű és gyors hirdetésfeladás
Hirdetésfeladás
eladó
Fenyvesi MariannaIngatlanreferens
+36 20...
iroda logo
GDN IngatlanhálózatIroda további hirdetései

Töltsd fel ingatlanhirdetésed ingyenesen!

Ingyenes hirdetésfeladás
Havi több mint egymillió ingatlankereső
Egyszerű és gyors hirdetésfeladás
Hirdetésfeladás
Bank360Bank360
Személyi kölcsön
Lakáshitel
Bankszámla
Utasbiztosítás
1 000 000 Ft50 000 000 Ft
6 hónap50 hónap