Ingatlan360 logo
  • Magánszemélyeknek
  • Közvetítőknek
  • Hirdetésfeladás
  • Árak és hirdetési lehetőségek
  • Mennyit ér az ingatlanom?
  • Ingatlan statisztikák

Eladó telek Pannonhalma

Pannonhalma képe
8
Pannonhalma 2. képe
Pannonhalma 3. képe8
24,9 M Ft
Ár
1310m2
Alapterület
Szobák száma
nincs megadva
Építés éve
nincs megadva
Ingatlan állapota
nincs megadva
Emelet
nincs megadva
Parkolás
nincs megadva
Légkondicionáló
Nincs
Közös költség
nincs megadva
Fűtés
nincs megadva
Fal építési anyaga
nincs megadva
Lift
Nincs
Az ingatlanról:
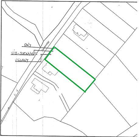
Csendes utca, szép házak - eladó telek Pannonhalmán

Pannonhalmán, a Cseidervölgyben, 1310 nm-es, összközműves belterületi építési telek 30 %-os beépíthetőséggel eladó.

A telek övezeti besorolása: Lf3
- 30 % beépíthetőség
- 50 % zöldterület
- max. 4,5 m építménymagasság
- max. 2 terep feletti szint
- max. 3 rendeltetési egység (1-2 vagy 3 épületben)
- oldalhatáros beépítési mód

A telek minden közművel rendelkezik.

Ár: 24 900 000 Ft. (hiv. szám: 6005)

Töltsd fel ingatlanhirdetésed ingyenesen!

Ingyenes hirdetésfeladás
Havi több mint egymillió ingatlankereső
Egyszerű és gyors hirdetésfeladás
Hirdetésfeladás
eladó
Stipsits JuditIngatlanreferens
+36 70...
iroda logo
PANORÁMA INGATLANIroda további hirdetései

Töltsd fel ingatlanhirdetésed ingyenesen!

Ingyenes hirdetésfeladás
Havi több mint egymillió ingatlankereső
Egyszerű és gyors hirdetésfeladás
Hirdetésfeladás
Bank360Bank360
Személyi kölcsön
Lakáshitel
Bankszámla
Utasbiztosítás
1 000 000 Ft50 000 000 Ft
6 hónap50 hónap