Ingatlan360 logo
  • Magánszemélyeknek
  • Közvetítőknek
  • Hirdetésfeladás
  • Árak és hirdetési lehetőségek
  • Mennyit ér az ingatlanom?
  • Ingatlan statisztikák

Eladó tanya Tiszaföldvár

Tiszaföldvár képe
4
Tiszaföldvár 2. képe
Tiszaföldvár 3. képe4
12 M Ft
1 432 Ft / m²
8381m2
Alapterület
8381m2
Telekterület
Fix 3%-os Otthon Start lakáshitel
Szobák száma
nincs megadva
Építés éve
nincs megadva
Ingatlan állapota
nincs megadva
Emelet
nincs megadva
Parkolás
nincs megadva
Légkondicionáló
Van
Közös költség
nincs megadva
Fűtés
nincs megadva
Fal építési anyaga
Vegyes
Lift
Nincs
Az ingatlanról:
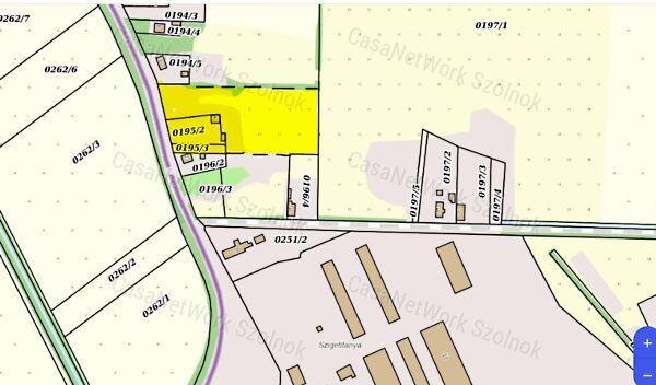
A  martfűi CasaNetWork ingatlaniroda megvételre kínál Tiszaföldvár külterületén található 1461 m2-es művelés alól kivett tanyát és 6920m2-es szántót.A tanyán nincs épület, vezetékes vízzel ellátott. Villanyáram lekötésérére lehetőség van.A terület nagyon jól és könnyen  megközelíthető mezőgazdasági nagy gépekkel is.Három HRSZ-on található és egyben eladó. Amennyiben a fenti 155806088 -es azonosító számú eladó családi ház, vagy bármely kínálatunkban található ingatlan felkeltette érdeklődését, kérem hívjon bizalommal!/A hirdetésben szereplő információk a megbízótól kapott adatok alapján készültek./Irodánk teljes körű szolgáltatással áll ügyfelei rendelkezésére: hitelügyintézés, ügyvédi szolgáltatás, ingatlan értékbecslés, energetikai tanúsítvány készítése.CasaNetWork - Ingatlanban otthon vagyunk!

Töltsd fel ingatlanhirdetésed ingyenesen!

Ingyenes hirdetésfeladás
Havi több mint egymillió ingatlankereső
Egyszerű és gyors hirdetésfeladás
Hirdetésfeladás
eladó
Patkó IstvánIngatlanreferens
+36 20...
iroda logo
CasaNetWork SzolnokIroda további hirdetései

Töltsd fel ingatlanhirdetésed ingyenesen!

Ingyenes hirdetésfeladás
Havi több mint egymillió ingatlankereső
Egyszerű és gyors hirdetésfeladás
Hirdetésfeladás
Bank360Bank360
Személyi kölcsön
Lakáshitel
Bankszámla
Utasbiztosítás
1 000 000 Ft50 000 000 Ft
6 hónap50 hónap