Ingatlan360 logo
  • Magánszemélyeknek
  • Közvetítőknek
  • Hirdetésfeladás
  • Árak és hirdetési lehetőségek
  • Mennyit ér az ingatlanom?
  • Ingatlan statisztikák

Eladó ipari Jánoshalma

Jánoshalma képe
2
Jánoshalma 2. képe
Jánoshalma 3. képe2
41 M Ft
5 475 Ft / m²
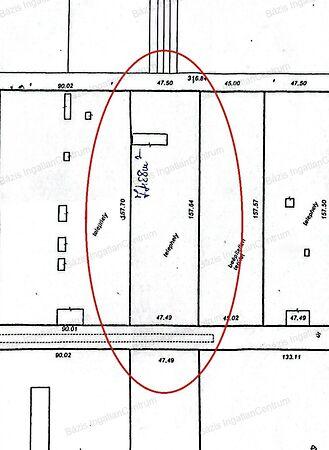
7488m2
Alapterület
Szobák száma
nincs megadva
Építés éve
nincs megadva
Ingatlan állapota
nincs megadva
Emelet
nincs megadva
Parkolás
nincs megadva
Légkondicionáló
Nincs
Közös költség
nincs megadva
Fűtés
nincs megadva
Fal építési anyaga
nincs megadva
Lift
Nincs
Az ingatlanról:
Bács-Kiskun megye Jánoshalma, a volt laktanya területén található 7488 m²-es, sokoldalúan hasznosítható iparterületet eladó.

Stratégiai elhelyezkedés – könnyen megközelíthető, nyugodt, ipari környezet.

Kiváló infrastruktúra – víz, villany, csatorna és gáz a telekhatáron.

Széleskörű felhasználási lehetőség – gyártás, raktározás, logisztikai központ, kereskedelmi telephely.

Az ingatlan per- és tehermentes, azonnal birtokba vehető. Ideális választás mind meglévő vállalkozások bővítéséhez, mind új projektek indításához.

Vevő ügyfeleinket teljeskörű ügyintézéssel segítjük az ingatlan megvásárlásában. Bővebb információért kérem keressen telefonon!

Egyéb jellemzők:

Villanyáram: Vezeték a telek előtt.
Vízellátás: Vízvezeték a telek előtt.
Csatornázás: Csatorna a telekhatáron.
Gázellátás: Gázvezeték a telek előtt.

Töltsd fel ingatlanhirdetésed ingyenesen!

Ingyenes hirdetésfeladás
Havi több mint egymillió ingatlankereső
Egyszerű és gyors hirdetésfeladás
Hirdetésfeladás
eladó
Csanyik PetraIngatlanreferens
+36 70...
iroda logo
Bázis IngatlanCentrumIroda további hirdetései

Töltsd fel ingatlanhirdetésed ingyenesen!

Ingyenes hirdetésfeladás
Havi több mint egymillió ingatlankereső
Egyszerű és gyors hirdetésfeladás
Hirdetésfeladás
Bank360Bank360
Személyi kölcsön
Lakáshitel
Bankszámla
Utasbiztosítás
1 000 000 Ft50 000 000 Ft
6 hónap50 hónap